Ascultă Radio România Reșița Live

[FOTO-AUDIO] Șalăul și păstrăvul la mare căutare

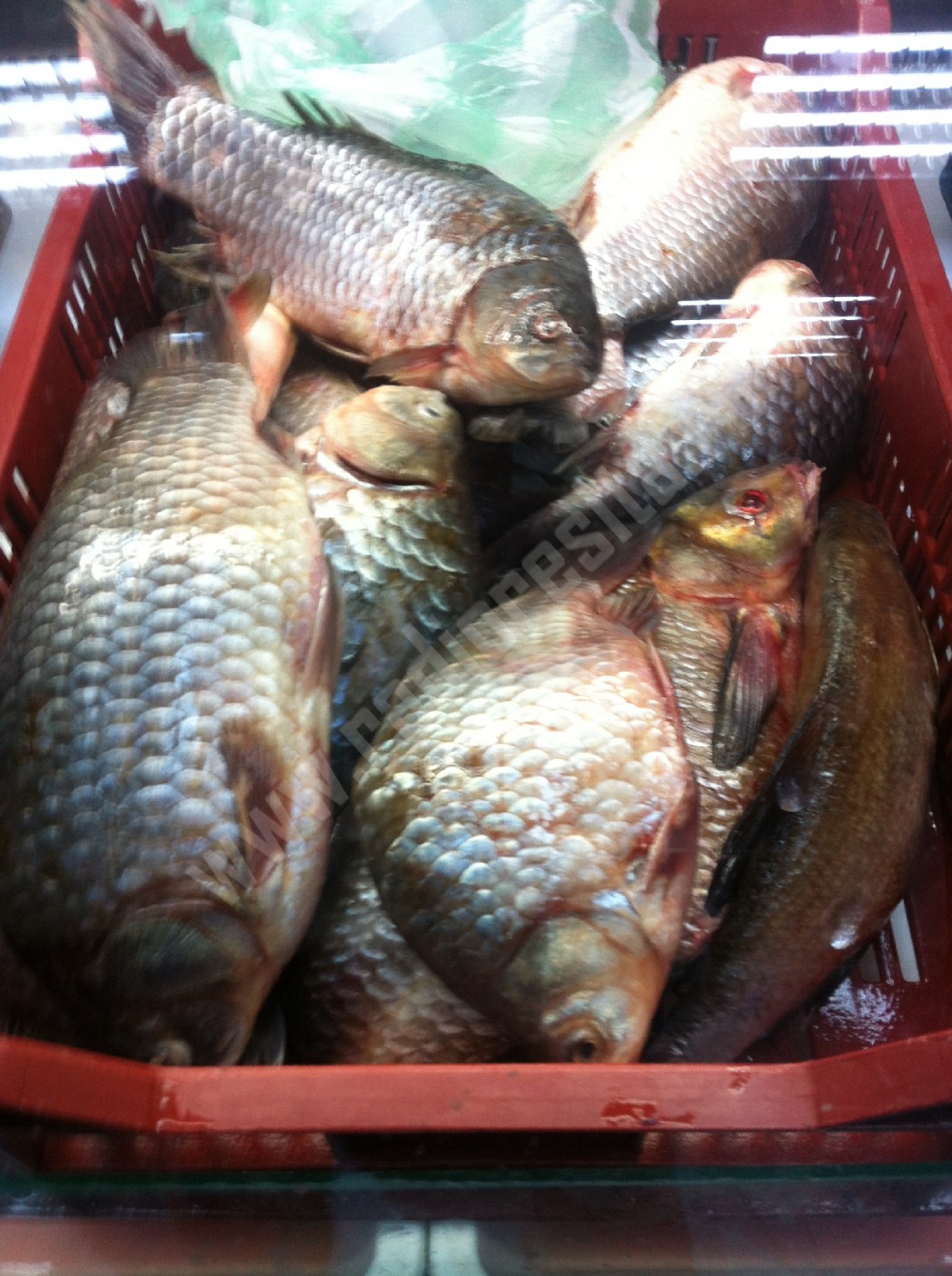
În prezent, în Caraș-Severin există patru păstrăvării la Topleţ, Valea Minişului, Sasca şi Văliug. După cum afirmă reprezentantul Direcției Silvice Caraș-Severin, Traian Roșu întreaga producție a anului 2015 este deja contractată. Circa 200 de tone, din care la 8 luni au fost valorificate deja, 126 de tone. Păstrăvul este hrănit cu furaj adus din Danemarca, produs pe bază  de făină de pește.

[FOTO-AUDIO] Șalăul și păstrăvul la mare căutare

Articol editat de Cristina Corocan, 22 septembrie 2015, 11:44

Consumul de pește a crescut în ultima perioadă. Tot mai multă lume cu probleme de sănătate renunță la carnea de pasăre sau porc și consumă din ce în ce mai mult pește. În Caraș-Severin se caută foarte mult cel peștele proaspăt, de Dunăre sau din păstrăvării. Singurele magazine de profil nu fac față cererii, după cum afirmă unul dintre comerciații din municipiul Reșița, care afirmă că în doar câteva ore vinde întreaga cantitate de șalău – 100 de kg. Aprovizionarea o face de la asociațiile de pescari de pe Clisura Dunării și de la Păstrăvăria Ochiu Bei din zona Sasca.

În prezent, în Caraș-Severin există patru păstrăvării la Topleţ, Valea Minişului, Sasca şi Văliug. După cum afirmă reprezentantul Direcției Silvice Caraș-Severin, Traian Roșu întreaga producție a anului 2015 este deja contractată. Circa 200 de tone, din care la 8 luni au fost valorificate deja, 126 de tone. Păstrăvul este hrănit cu furaj adus din Danemarca, produs pe bază  de făină de pește.

Un kilogram de păstrăv se vinde la păstrăvării cu 18 lei și ajunge pe piață, eviscerat cu 23 de lei. Șalăul de Dunăre este cel mai scump, undeva la 27-30 de lei.

Cristina Corocan

 

Caraș-Severin, printre județele cu cele mai puține firme radiate în 2025. România înregistrează totuși o creștere națională a radierilor, arată ONRC
Actualitate luni, 24 noiembrie 2025, 07:23

Caraș-Severin, printre județele cu cele mai puține firme radiate în 2025. România înregistrează totuși o creștere națională a radierilor, arată ONRC

Numărul firmelor radiate la nivel național a crescut ușor în primele zece luni ale anului 2025, potrivit datelor publicate de Oficiul Național...

Caraș-Severin, printre județele cu cele mai puține firme radiate în 2025. România înregistrează totuși o creștere națională a radierilor, arată ONRC
„Solidaritate, nu tăcere”: Direcţia de Asistenţă Socială Timișoara lansează marșul comunitar împotriva violenței asupra femeilor
Actualitate duminică, 23 noiembrie 2025, 20:27

„Solidaritate, nu tăcere”: Direcţia de Asistenţă Socială Timișoara lansează marșul comunitar împotriva violenței asupra femeilor

Timișoara finalizează pregătirile pentru campania de conștientizare și prevenție „Solidaritate, nu tăcere”, organizată de Direcţia de...

„Solidaritate, nu tăcere”: Direcţia de Asistenţă Socială Timișoara lansează marșul comunitar împotriva violenței asupra femeilor
Lucrările la fostul combinat Oțelu Roșu prind contur. Imagini noi cu drona arată reabilitarea liniei ferate industriale preluate de UMB
Actualitate duminică, 23 noiembrie 2025, 17:18

Lucrările la fostul combinat Oțelu Roșu prind contur. Imagini noi cu drona arată reabilitarea liniei ferate industriale preluate de UMB

Pasionații de infrastructură au publicat imagini noi cu lucrările de reabilitare a liniei de cale ferată industrială de la fostul combinat...

Lucrările la fostul combinat Oțelu Roșu prind contur. Imagini noi cu drona arată reabilitarea liniei ferate industriale preluate de UMB
Primarul Bibarț acuză șantaj în cazul podului hobanat peste Mureș: „Arădenii nu pot fi șantajați de șmecherii de la firma de insolvență și de la bănci”
Actualitate duminică, 23 noiembrie 2025, 16:55

Primarul Bibarț acuză șantaj în cazul podului hobanat peste Mureș: „Arădenii nu pot fi șantajați de șmecherii de la firma de insolvență și de la bănci”

Primarul Bibarț acuză șantaj din partea administratorilor insolvenței PAB România. Podul hobanat trece testele, dar recepția este blocată...

Primarul Bibarț acuză șantaj în cazul podului hobanat peste Mureș: „Arădenii nu pot fi șantajați de șmecherii de la firma de insolvență și de la bănci”
Actualitate duminică, 23 noiembrie 2025, 16:46

Caraș-Severin: Ziua Națională a României cu parade, tradiții și momente de reculegere

1 Decembrie în Caraș-Severin: Ziua Națională a României cu parade, tradiții și momente de reculegere. Reșița sărbătorește 1 Decembrie cu...

Caraș-Severin: Ziua Națională a României cu parade, tradiții și momente de reculegere
Actualitate duminică, 23 noiembrie 2025, 14:11

Herculane Stories – Muzeul virtual care a uimit publicul la Târgul de turism al României 2025

Herculane Stories – Muzeul virtual care a uimit publicul la Târgul de turism al României 2025 Între 20–23 noiembrie, în Pavilionul B2 al...

Herculane Stories – Muzeul virtual care a uimit publicul la Târgul de turism al României 2025
Actualitate duminică, 23 noiembrie 2025, 13:57

Primăria Timișoara va fi integrată în sistemul e-SIGUR. Primarul Dominic Fritz cere activarea platformei pentru a preveni accidente și salva vieți

Primăria Timișoara va fi integrată în sistemul e-SIGUR. Primarul Dominic Fritz cere activarea platformei pentru a preveni accidente și salva...

Primăria Timișoara va fi integrată în sistemul e-SIGUR. Primarul Dominic Fritz cere activarea platformei pentru a preveni accidente și salva vieți
Actualitate duminică, 23 noiembrie 2025, 12:00

Utilajele de deszăpezire sunt pregătite să intervină pe toate drumurile județene din Caraş-Severin

Utilajele de deszăpezire sunt pregătite să intervină pe toate drumurile județene din Caraş-Severin Autoritățile județene din Caraș-Severin...

Utilajele de deszăpezire sunt pregătite să intervină pe toate drumurile județene din Caraş-Severin